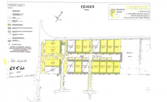
Terrains à bâtir - Feuges
Feuges
Lotissement L'aube Romaine Ii
Le groupe Troyes Aube Habitat - Siaba, vous propose des terrains à bâtir situés sur le lotissement "L'Aube Romaine II" à Feuges.
Des parcelles viabilisées et libre choix constructeur vous attendent pour concrétiser votre projet immobilier à proximité immédiate de Troyes et Arcis-sur-Aube.
Prix de vente : 65 TTC/ m².
Parcelles de 768 à 913 m².
✅ Un investissement sûr
🚫 Sous-sols non autorisés
📍 Documents techniques disponibles (étude de sol, PLU, plan de lot…)
Envie d’en savoir plus ou de réserver votre terrain ?
Contactez-nous au 03 25 42 56 74.
vierge
vierge
En faire plus
Nos services
A tous moments, nos conseillers sont à votre écoute dans nos 8 agences pendant tout votre parcours locataire.
Nous vous aidons pour trouver
le logement qui vous correspond
Vous ne trouvez pas le logement adapté à vos besoins.
N’hésitez pas à contacter votre agence la plus proche, des solutions individuelles peuvent être apportées.
Nous vous aidons pour le montage
de votre dossier au complet.
Pas de panique, nos conseillers ont l’habitude de monter des dossiers logement. Ils vont aideront à rassembler tous les papiers nécessaires.



